Свойства горных пород. Характеристика грунтов
Задание 1
Составить характеристики свойств горных пород и их породообразующих минералов.
|
Порода |
Тип (по происхождению) |
Группа (по происхождению) |
Минералогический состав |
Структура |
Текстура |
Окраска |
Устойчивость |
Реакция с HCl |
Форма залегания |
Применение в промышленности и строительстве |
|
Базальт |
Магматический |
излившиеся |
авгит |
скрытокристаллическая, тонкозернистая, реже порфировая |
массивная либо пористая, миндалекаменная |
темно-серый, зеленый, черный |
термоустойчивость, огнеупорность – выдерживает температуру свыше 1500 градусов по Цельсию, часто используется в качестве защиты от пожаров, шумопоглощение и теплоизоляция, устойчивость к воздействию щелочей и кислот, устойчивость к истиранию, экологичность, прочность, долговечность |
не реагирует |
залегает в виде межпластовых тел, а чаще всего в виде потоков лавы, образовавшихся при извержениях вулканов |
используют как сырье для щебня, производства базальтового волокна (для производства теплозвукоизоляционных материалов), каменного литья и кислотоупорного порошка, а также в качестве наполнителя для бетона. |
|
Лёсс |
Осадочный |
смешанные |
преимущественно кварц |
Землистая, мелкозернистая |
массивная |
Светло–желтый или палево–желтый |
не устойчив |
вскипает |
Пластовая форма залегания |
Не используется |
|
Мрамор |
Метаморфический |
контактового и регионального метаморфоза |
кальцит, реже доломит |
кристаллически–зернистая порода, состоит из тесно контактирующих друг с другом зерен, хорошо различимых невооруженным глазом |
массивная – аналогичная текстуре магматических пород с беспорядочным расположением кристаллов в их объеме |
Белый, серый, желтоватый, красноватый, розовый, голубоватый, пестрый, черный и др. |
подвержен губительному действию пищевых кислот (уксусной, лимонной), а также разрушается при действии на него соляной кислоты. |
вскипает |
на основе осадочных пород сохраняется пластовая форма залегания, а на основе магматических — форма интрузий или покровов |
Применяется для изготовления облицовочной плитки, столешниц, фонтанов, мощения, для создания ландшафтной композиции |
|
Минерал |
Класс |
Химический состав |
Происхождение |
Окраска |
Цвет черты |
Блеск |
Твердость (по шкале Мооса) |
Спайность |
Излом |
Реакция с HCl |
Устойчивость к выветриванию |
Применение в промышленности и строительстве |
|
авгит |
силикаты (первичные) |
Са(Mg, Fe, Al) [(Si,Al)>2>O>6> |
магматический |
зеленый, бурый, черный |
серая, зеленоватая |
стеклянный |
5–6 |
совершенная в двух направлениях |
неровный |
не реагирует |
устойчив |
используется в составе породы |
|
кварц |
окислы |
SiO>2> |
осадочный |
от черного до бесцветного |
–– |
стеклянный |
7,0 |
несовершенная |
ровный |
вскипает |
устойчив |
используется в оптических приборах, в генераторах ультразвука, в телефонной и радиоаппаратуре |
|
кальцит |
карбонаты |
СаСО>3> |
метаморфический |
бесцветный, молочно–белый, светло–серый, светло–желтый и т.д. |
белая |
стеклянный |
3,0 |
весьма совершенна в трех направлениях (по ромбоэдру) |
ровный |
сильно вскипает |
не устойчив |
Тонко измельченный кальцит используется как наполнитель в различных системах, как правило для уменьшения расхода дорогостоящего основного компонента. |
Задание 2
Объяснить условия образования эоловых отложений. Составить инженерно–геологическую характеристику грунтов, наиболее часто встречающихся среди этих отложений. Оценить возможность их использования в качестве оснований промышленных и гражданских сооружений с учетом изменения состава и свойств под влиянием техногенных процессов.
Состав переносимых ветром частиц бывает очень разнообразен – преобладают кварцевые, полевошпатовые, глинистые, и известковые частицы, могут быть и элементы органического происхождения: пыльца, споры, грибки, бактерии. Подавляющее количество пыли и песка, переносимых ветром, имеет земное происхождение, являясь продуктом разрушения горных пород. Часть пыли имеет вулканическое происхождение (вулканический пепел, песок), часть — космическое (метеоритная пыль). Переносимая ветром масса пыли и песка рано или поздно выпадает на землю и либо примешивается к образующимся различным образом осадочным породам, либо дает начало особым эоловым отложениям.
Среди эоловых отложений по составу выделяются глинистые, пылеватые и песчаные. Глинистые и пылеватые эоловые отложения образуются за счет осаждения мелких частиц, переносимых в виде пыли во взвешенном состоянии в воздухе, иногда высоко над поверхностью земли. Песчаные эоловые отложения, наоборот, образуются из крупных частиц, перемещаемых у самой земли или просто перекатываемых ветром по почве. Поэтому эоловые пески распространены обычно в непосредственной близости от областей развевания. Глинистые эоловые отложения могут образоваться и на значительном удалении от последних, так как пыль разносится ветром очень далеко.
Строение толщ эоловых песков характеризуется:
– неправильностью и разнообразием углов наклона слоёв;
– преобладанием пологих углов до 50 (неветренный склон) и до 30–330 (подветренный склон);
– вогнутость и выпуклость наплостований;
– большой вертикальной мощностью больших серий (до 100 м и более);
– тонкостью и однородностью песчаных зёрен;
– высокой обработанностью песчаных зёрен окатанной формы с типичной мелкоямчатой поверхностью со вторичными пленками;
– в целом очень рыхлым недоуплотнённым сложением.
В минералогическом отношении эоловые пески обычно полиминеральны с преобладанием кварцевых частиц. По химическому составу они могут значительно отличаться друг от друга в зависимости от климатических условий их распространения. Содержание CaO, MgO, Na>2>O, K>2>O в эоловых песках повышается при более засушливом климате и соответственно с этим уменьшается содержание SiO>2>.
Пористость песков при их рыхлом сложении составляет 47%, при плотном – 37%. В условиях естественного залегания они находятся в рыхлом сложении и в соответствии с этим легко и значительно уплотняются под действием динамических нагрузок и вибрации. В связи с хорошей отсортированностью и значительной пористостью (при преобладании крупных пор) высота их капиллярного поднятия не превышает 60 см. Хорошая отсортированность, однородное и достаточно рыхлое сложение эоловых песков обуславливают большую их водопроницаемость: обычно коэффициент фильтрации составляет несколько более 10 м/сут, в отдельных случаях отмечено его повышение до 15 м/сут.
Для строительства большое значение имеет закреплённость песков. По этому признаку песчаные накопления делят на подвижные (дюны, барханы) и закреплённые (грядовые, бугристые) пески.
Подвижные пески не закреплены корневой системой растений и под действием ветра легко перемещаются.
Дюны образуются по берегам рек, морей в результате навевания песка ветром вокруг какого-нибудь препятствия (кустарников, неровностей рельефа, зданий и т. д.). Это холмовидные накопления песка высотой до 20-40 м и более. Характерной особенностью дюн является движение за счёт перекатывания песчинок ветром с одной стороны холма на другую. Скорость движения дюн вглубь материка определяется силой господствующих в данной местности ветров и колеблется от 0,5-1 до 20-22 м/год. Дюны обычно образуют цепь холмов.
Барханы возникают в пустынях, где постоянно дуют сильные ветры преимущественного одного направления. Это песчаные холмы серповидной формы, поперечный профиль барханов асимметричен – наветренный склон пологий, его угол откоса не превышает 12º, подветренная сторона более крутая — угол откоса достигает 30-40º. Высота барханов в среднем достигает 60-70 м. В пустынях образуются целые барханные цепи. Барханы сложены весьма подвижными песками. Скорость их перемещения зависит от силы ветра, длительности его действия и величины бархана. Наиболее подвижны отдельностоящие барханы. Они могут перемещаться со скоростью от 5-6 до 50-70 м/год. Сложные сочетания барханов передвигаются с малой скоростью, почти незаметно для человека.
Подвижные пески опасны своим движением. Перемещаясь, они заносят поля, оазисы, каналы, дороги, здания, селения и даже города.
Строительство и эксплуатация зданий и сооружений требует постоянной борьбы с подвижными песками. Для этой цели применяют ряд методов:
Установку на пути движения песков щитов. Этот способ не всегда эффективен, особенно в районах, где ветер часто меняет своё направление. Иногда против выдувания песка щиты укладывают на землю.
Одним из главнейших способов борьбы является посадка растительности (кустарники, травы). Высаженные растения закрепляют своей корневой системой верхние слои песка.
Битумизация, цементация, глинизация и т. д. эти методы дорогостоящие и недолговечные.
Проектирование «безаккумуляционных» форм сооружений, которые облегчают пропуск движущегося песка, не давая ему возможности скапливаться в пределах сооружений.
Закреплённые пески распространены достаточно широко, особенно в районах полупустынь. Грядовые пески представляют собой вытянутые формы высотой 10-20 м; бугристые пески — неподвижные холмы (редко высотой более 10 м) с пологими склонами. Их движение остановлено растительным покровом.
В южных районах нашей страны широко распространены рыхлые, пористые горные породы, называемые лёсом. Лёссы - очень ценные почвообразующие породы, на них всегда формируются наиболее плодородные почвы. Однако лёссы легко размываются водой, поэтому в области их распространения часто возникают овраги (распространение лёссовых пород распространено близь городов Омск, Иркутск, Якутск и Москва. На территории Москвы их больше всего.) Также лёсс образует участки выдувания – это впадины, созданные ветровой эрозией (как правило в песчаной пустыне или в сухой почве).
Пылеватые накопления встречаются за пределами пустынь. Современные пыльные бури образуют рыхлые наносы, которые через некоторое время размываются атмосферными водами. Пылеватые накопления более древнего возраста приняли участие в формировании лёссовых образований. Мощность лёссовых отложений колеблется от 1-2 до 100 м и более. Породы эти как основания зданий и сооружений обладают специфическими строительными свойствами.
Задание 3
Зная период Т и амплитуду А колебаний сейсмической волны вычислить сейсмическое ускорение а и коэффициент сейсмичности К>S>>.>
Подсчитать сейсмическую инерционную силу S (в тоннах), воздействующую на сооружения при землетрясениях. Массу сооружения Р принимают равной 5500 т.
Используя величину сейсмического ускорения, определить силу землетрясения в баллах.
4. По данным о силе землетрясения уточнить расчетную балльность строительной площадки в районах, сложенных:
а) рыхлыми осадочными породами с глубиной залегания грунтовых вод до 5 м от поверхности земли;
б) скальными породами (гранитами, гнейсами), прикрытыми маломощным слоем сухого элювия.
Согласно полученным результатам дать заключение о возможности и экономической целесообразности строительства на одном из указанных участков.
|
Период сейсмической волны Т, с |
Амплитуда колебаний сейсмической волны А, мм |
Сейсмическое ускорение α = 4π2А/Т2 мм/с2 |
Сила землетрясения, балл |
Коэффициент сейсмичности K>S> =α/g |
Инерционная сила S = K>S>P, т |
|
0,55 |
7 |
920 |
9 |
0,092 |
506 |
α = 4π2А/Т2; α = 4 (3,14)2 7/0,552; α = 920 мм/с2
K>S> = α/g; K>S> = 920 10–3/10; K>S> = 0,092 α/мм
S = K>S>>*>P; S = 0,092 5500; S = 506 т
Так как сейсмическое ускорение равно 920 мм/с2, то сила землетрясения равна 9 баллам.
а) расчетная бальность равна 10 баллам
б) расчетная бальность равна 8 баллам
Участок с рыхлыми осадочными пародами неблагоприятен для строительства, так как при сейсмическом сотрясении, рыхлые породы энергично доуплотнятся и будут разрушать выстроенные на них здания и сооружения.
Задание 4
Описать подземные межмерзлотные воды, особенности их существования и движения. Охарактеризовать водоносный горизонт, заключающий эти воды, особенности его питания и разгрузки, его значения для целей водоснабжения. Описание проиллюстрировать схематическими рисункам.
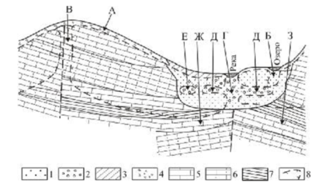
Межмерзлотные воды – подземные воды, залегающие или перемещающиеся внутри толщи или между слоями многолетнемёрзлых пород. Межмерзлотные воды имеют связь c над- и подмерзлотными и водами таликов. B случае утери связи вследствие промерзания межмерзлотные воды переходят в категорию внутримерзлотных вод. По происхождению, степени минерализации и темп-ры межмерзлотные воды делятся на две группы. Первая включает криогалинные воды, во вторую группу входят пластово-поровые и пластово-трещинные слабоминерализованные воды, образующиеся вследствие неполного многолетнего протаивания мёрзлой толщи и последующего частичного промерзания несквозного талика. Такие системы чередующихся в разрезе межмерзлотных вод и мёрзлых слоев во времени термодинамически неустойчивы: линзы межмерзлотных вод или промерзают сверху, или протаивают подстилающий их мёрзлый слой. Известны устойчивые межмерзлотные воды. Иx питание происходит на междуречьях, разгрузка - в долинах. Межмерзлотные водоносные "тоннели" поддерживаются за счёт движения подземных вод; при прекращении питания и при похолоданиях они промерзают. M. в. обычно мало пригодны для практического использования вследствие ослабленного водообмена, малых запасов и часто застойного режима. Межмерзлотные воды осложняют проходку горных выработок в шахтах и разработку открытым способом в многолетнемёрзлых породах. При откачках дебит межмерзлотных воды часто возрастает из-за протаивания вмещающих мёрзлых пород вследствие увеличения интенсивности водообмена.

Распределение подземных вод в многолетнемерзлых породах: А – надмерзлотные воды, Б – воды несквозного подозерного талика, В – воды сквозного питающего талика, Г – воды сквозного подруслового талика, Д – межмерзлотные воды, Е – внутримерзлотные воды, Ж – подмерзлотные воды контактирующие, З – подмерзлотные воды неконтактирующие; 1 – пески; 2 – гравийно-галечные отложения; 3 – суглинки; 4 – щебень и дресва; 5 – известняки; 6 – песчаники; 7 – сланцы; 8 – граница многолнтнемерзлых пород
Задание 5
Определить коэффициент фильтрации массива водоносных песков по результатам откачки из одиночной совершенной скважины. Водоносный горизонт – грунтовый. Схему проведения опыта показать на рисунке.
|
Мощность водоносного горизонта Н, м |
Дебит скважины Q, м/сут |
Понижение уровня воды в скважине, S>0>, м |
Радиус |
|
|
влияние скважины R, м |
скважины r, м |
|||
|
8 |
644 |
2 |
69 |
0,3 |
К>ф>> >= Q ln(R/r)/π (2H – S) S
К>ф >= 644 5,43/3,14 (2 8 – 2) 2
К>ф >= 40 м/сут

Задание 6
Определить приток воды к совершенной дренажной канаве, отводящей подземные воды грунтового водоносного горизонта (приток воды к канаве происходит с двух сторон). Расчет проиллюстрировать схематическим рисунком.
|
Мощность водоносного горизонта Н, м |
Величина понижения уровня воды в канаве S, м |
Коэффициент фильтрации К>ф>, м/сут |
Длина дренажной канавы В, м |
|
3,2 |
3,0 |
50 |
70 |
Q = K>ф> В (Н2 – h2)/R
R = 2 S H K>ф>
R = 2 3 3,2 50
R = 76 м
h = H – S
h = 3,2 – 3,0
h = 0,2 м
Q = 50 70 (3,22 – 0,22)/76
Q = 470 м/сут
Задание 7
Составить описание геологических процессов и явлений.
– причины образования процессов и явлений, стадии их протекания, специфические черты и особенности;
– условия строительства в районах, подверженных данным процессам;
– инженерно–геологическое значение этих процессов, мероприятия, устраняющие их вредное влияние на условия строительства и эксплуатации сооружений.
Гравитационные процессы на склонах
Горные породы, слагающие склоны, очень часто находятся в неустойчивом положении. При определенных условиях и под влиянием гравитации они начинают смещаться вниз по склонам рельефа. В результате этого возникают осыпи, курумы, обвалы и оползни.
Осыпи. На крутых склонах, особенно в горных районах, где развиты скальные породы, активно действует процесс физического выветривания. Породы растрескиваются и обломки скатываются вниз по склонам до места, где склон выполаживается. Этот процесс называется осыпанием. Так, у подножья склонов накапливаются продукты осыпания – глыбы, щебень, более мелкие обломки – и образуются валы — осыпи. Мощность осыпей различна и колеблется от нескольких до десятков метров.
В состав осыпей входят обломки тех горных пород, которые слагают склоны. Ведь породы зачастую определяет крупность обломков осыпи. Так, массивные кристаллические породы дают крупнообломочные (глыбовые) осыпи. Менее прочные породы образуют среднеобломочные (щебеночные) и мелкообломочные (дресвяные) осыпи. Сланцы и осадочные породы (известняки, мергели, песчаники и др.) порождают разнообломочные накопления, состоящие из обломков различной формы (плитчатой, пластинчатой и т. д.) и размеров.
Характерной особенностью осыпей является их подвижность. По «знаку подвижности их подразделяют на действующие, находящиеся в стадии интенсивного движения, затухающие и неподвижные.
Действующие осыпи лишены всякой растительности. Масса обломков нарастает и находится в рыхлом, весьма неустойчивом положении и приходит в движение за счет увеличения общего веса, сильном увлажнения, подрезки нижней части осыпи, дорогами, от землетрясений и даже от более мелких сотрясений, возникающих при работе механизмов или движении транспорта.
Движение осыпей. Наибольшие скорости движения осыпей отмечены в период снеготаяния и дождей. Наблюдения показывают, что осыпи в послойном разрезе передвигаются с различной скоростью Скорость верхних слоев может достигать более 1 м/год, нижних слоёв и в целом всего массива осыпи – несколько десятков сантиметров в год. На скорость движения влияют также количество поступающего материала, угол естественного откоса материала, из которого состоит осыпь, и угол поверхности осыпи.
Угол естественного откоса материала зависит от его крупности. В сухом состоянии крупно- и среднеобломочный материал имеет средний угол откоса φ = 35—37°, а мелко- и разнообломочный — 30–320. Значение угла откоса осыпи связана с крутизной склонов, количеством поступающего материала и его влажностью.
Зависимость между углами поверхности осыпи α и естественным откосом φ обломочного материала характеризует степень подвижности осыпи
К = α/φ,
где К – коэффициент подвижности осыпи.
По величине К осыпи разделяют на 4 типа:
– подвижные (живые), К = 1,0;
– достаточно подвижные, признаков затухания нет, К = 0,7 до 1,0;
– слабоподвижные, затухающие, имеющие слабое питание, К = 0,5 до 0,7;
– относительно неподвижные, уплотнившиеся, поступление нового материала не наблюдаеться, К < 0,5.
Осыпи первого и второго типов относят к действующим. Они представлены свежей, неуплотнившейся массой обломков. «Живые» осыпи характерны для склонов круче 65°, достаточно подвижные осыпи с крутизной от 45 до 65 °.
Для затухающих осыпей свойственно развитие растительности (кустарники, слабый дерновый слой). Неподвижные осыпи полностью задернованы, покрыты кустарником и даже лесом.
Иногда осыпи превращаются в осовы—особую разновидность оползней. Это происходит при насыщении осыпей водой. При смачивании масса обломков уменьшает угол естественного откоса, увеличивается и вся масса осыпи «осовывается» по смоченной поверхности склона.
Осыпи значительно осложняют строительство. Обломочный материал засыпает сооружения, полезные площади. Для решения вопроса о защите сооружений от осыпей очень важно знать скорость их движения. Обычно ее удается определить длительными наблюдениями. С небольшими щебеночными осыпями борьба ведется довольно простыми способами, которые сводятся к уборке той части обломочного материала, который расположен выше сооружения по склону. Этот Способ достаточно трудоемок и применяется при большой подвижности осыпей и особой значимости сооружений.
Из инженерных сооружений применяют улавливающие и подпорные стенки, устраивают козырьки или сетки над дорогами, но эти мероприятия спасают лишь от отдельных падающих камней.
В особо опасных местах, где развиты мощные медленно соскальзывающие осыпи, устраивают галереи и тоннели для дорог. При борьбе с осовами, кроме всех прочих мероприятий, применяют методы осушения, особенно в тех случаях, когда источник замачивания располагается в верхней части склона. На особо опасных участках организуют службу наблюдения.
Осыпи обломочно-щебенистого состава часто находят широкое применение, как хороший строительный материал.
Курумы. В результате разрушения скальных пород у подошвы склонов скапливаются крупные обломки и глыбы. По своему мест положению обломки более всего тяготеют к пологим склонам, что свойственно ложбинам и днищам долин. Так образуются каменные россыпи или курумы, образуя с ними единую массу глыб от вершины до подошвы склона. Мощность каменных россыпей колеблется от нескольких метров до 15 м на дне долин.
Курумы распространены в тех же районах, что и осыпи, но особенно они значительны в области вечной мерзлоты (Восточная Сибирь, Дальний Восток) и в местностях с суровым климатом (Урал, Алтай, Саяны и т. д.).
Характерной особенностью курумов является передвижение. Масса обломков, огромных глыб постоянно ползет вниз по склону, так как глыбы лежат на глинисто-суглинистом слое. Когда курум движется по ложбинам его называют каменным потоком. Скорость движения курумов от сантиметров до десятков сантиметров в год. Наибольшая скорость свойственна участкам с обильным смачиванием водой глинисто-суглинистой подстилки.
Курумы подразделяют на действующие и затухшие. В первом случи» курумы очень подвижны. Пустоты между глыбами не заполнены. Растительность отсутствует. В затухших курумах никаких следов движения нет. Россыпь задернована, покрыта растительностью.
Курумы при своем движении разрушают сооружения, засыпают выемки и полезные площади. Легче всего остановить движение отдельных глыб, но значительно труднее удержать толщу курума, занимающего большую площадь и имеющего выходы грунтовых вод. Наиболее часто в борьбе с курумами используют взрывные работы. Остановить курумы можно осушением их глинистой подстилки. Для этого в верхней части склона отводят ручьи, перехватывают поверхностные воды нагорными канавами, в отдельных случаях используют дренажи.
В районе подвижных курумов дороги переносят на другие склоны, Иногда их проводят в тоннелях или галереях под курумами.
Обвалы. Обрушение более или менее крупных масс горных пород с опрокидыванием и дроблением получило название обвала.
Обвалы возникают на крутых склонах (более 45—50 °) и обрывах естественных форм и рельефа (склоны речных долин, ущелья, побережья морей и т. д.), а также в строительных котлованах, траншеях, карьерах. При крупных обвалах, как это бывает в горах, масса обломков устремляется вниз по склону, дробясь на более мелкие и увлекая за собой попутный рыхлый материал. Образуется облако пыли, масса обломков падает в долины, разрушая здания, дороги, запруживая реки.
Наиболее часто обвалы бывают связаны с трещиноватостью пород, подмывом или подрезкой склонов, избыточным увлажнением пород, перегрузками обрывов, землетрясениями. Обвалы могут возникать вследствие глубокого растрескивания пород после неправильно выполненных взрывных работ, неудачного заложения выработок относительно напластования и направления трещиноватости.
В большинстве случаев обвалы проявляются в периоды дождей, таяния снега, весенних оттепелей. Атмосферные и талые воды ослабляют связи в выветрелых породах, утяжеляют массы пород, оказывают давление на стенки трещин.
По объему и характеру обрушения обвалы весьма различны. Это могут быть отдельные глыбы или масса пород в десятки кубических метров. Такие маленькие обвалы более свойственны строительным выемкам. В природных условиях нередко наблюдаются катастрофические обвалы, когда обрушиваются миллионы кубических метров пород, История знает много таких примеров. Гигантский обвал произошел и 1911 г. на Памире. Обрушилось свыше 7 млрд. т пород. В результате запруживания реки образовалось Сарезское озеро. Таким же пути возникло озеро Рида на Кавказе. Известен катастрофический случай в Альпах, когда обвал почти мгновенно засыпал деревню с 2400 жителями.
Одной из разновидностей обвалов являются вывалы -– обрушении отдельный глыб и камней из скальных пород в откосах выемой полувыемок и отвесных склонов. Принципиально вывалы отличаются от обвалов тем, что обломки падают свободно, не скользя по склону. Вывалы возникают чаще всего в крупнозернистых породах с большим количеством слюды, значительно выветрелыми полевыми шпатами или в породах с ярко выраженной слоистостью.
Предвестниками обвала является расширение существующих и появление новых трещин, расположенных параллельно обрыву, глухой шум, треск и некоторые другие явления.
Борьба с обвалами, особенно крупными, весьма затруднительна. Все мероприятия по борьбе с ними сводятся к предупреждению их возникновения и осуществлению защитных мероприятий. На участках, где возможны крупные обвалы, строительство проводить опасно. Для предупреждения малых обвалов одним из наиболее распространенных способов, как в случаях с лавинами, является искусственное обрушение склонов при помощи взрывов небольшой мощности или путем эабивки клиньев в трещины обвалоопасной породы. Это позволяет откалывать отдельные куски. Способ «клинования» более предпочтителен, так как он безопаснее взрывного, неверно рассчитанный по силе взрыв может сам вызвать крупный обвал. Устраивают подпорные и улавливающие стенки, рвы, траншеи, отводят поверхностные воды.
На опасных участках дорог нередко организуют службу наблюдения, работают бригады по зачистке склонов, уборке камней. От вывалов нависающих глыб и массивов пород применяют опорные железобетонные столбы или стенки.
Успешно можно предупреждать обвалы в строительных выемках. Для этого производят облицовку откосов, ставят подпорные и временные шпунтовые стенки, подпорные щиты. Не следует на длительное время котлованы оставлять открытыми, особенно в период дождей; необходимо отводить поверхностные воды, нельзя перегружать края выемок и подрезать склоны без учета устойчивости пород.
Оползни – это скользящее смещение горных пород на склонах под действием гравитации и при участии поверхностных или подземных вод,.
Оползни – явление частое и свойственное склонам долин, оврагов, балок, берегам морей, искусственным выемкам. Они разрушают здания и сооружения на самих склонах и ниже их.
Большой ущерб ежегодно приносят оползневые явления на берегах Черноморского побережья Кавказа, в долинах Волги и многих других рек и горных районов.
Внешний облик оползневых склонов имеет ряд признаков, по которым всегда можно установить, что склоны находятся в неустойчивом состоянии. Там, где происходит отрыв массы пород, образуется серия концентрических трещин, ориентированных вдоль склонов. Сползание пород приводит к бугристости склонов, особенно в их нижней части. За счет давления сползающих пород у подошвы склонов формируются валы выдавливания. Между валами и буграми при определенных условиях скапливаются поверхностные и подземные воды. Это вызывает заболоченность склонов. При активном сползании на склонах хорошо видны смещенные земляные массы и террасовидные уступы. Очень часто внешним признаком оползней является так называемый «пьяный лес» и разорванные стволы деревьев. За счет сползания пород стволы деревьев теряют свою вертикальность, а иногда даже расщепляются. Аналогичным образом теряют вертикальность столбы телефонной связи и электролиний, заборы, стены. На оползневых склонах можно наблюдать разрушенные дома или здания со значительными трещинами. Характерной чертой этих трещин является наибольшее раскрытие в нижней части здания по склону.
Для возникновения и развития оползней необходимы некоторые определенные условия. Среди них наибольшее значение для склонов имеют: высота, крутизна и форма, геологическое строение, свойств пород, гидрогеологические условия.
При всех равных условиях крутые склоны более подвержены оползням, чем пологие. Так, установлено, что склоны с крутизной менее 15̊ оползней не образуют. Оползни свойственны склонам выпуклой и нависающей конфигурации.
Большое влияние на развитие оползневых процессов оказывает геологическое строение и литологический состав пород склона. Наиболее часто оползни проявляются при залегании слоев с падением в сторону склона, например, оползни Черноморского побережья (Туапсе – Сочи). Типичными оползневыми породами следует считать различные глинистые образования, для которых характерно свойство «ползучести». Такой процесс, например, происходит на склонах лессовых толщ. Подавляющее большинство оползней приурочено к выходу подземных вод.
I Основными причинами оползней следует считать три группы процессов:
1.Процессы, изменяющие внешнюю форму и высоту склона: колебания базиса эрозии рек, оврагов; разрушающая работа волн и текучих вод; подрезка склона искусственными выемками.
2.Процессы, ведущие к изменению структур и ухудшению физико–механических свойств, слагающих склон пород за счет, процессов выветривания, увлажнения подземными, дождевыми, талыми и хозяйственными водами, за счет выщелачивания водорастворимых солей и выноса частиц текучей водой с образованием в породе пустот (суффозия).
3.Процессы, создающие дополнительное давление на породы, шагающие склон: гидродинамическое давление при фильтрации воды в сторону склона; гидростатическое давление воды в трещинах и порах породы искусственные статические и динамические нагрузки на склон; сейсмические явления.
Из вышеперечисленного видно, сколь многообразны условия и причины возникновения оползней. При этом следует помнить, что каждый случай образования оползня может быть связан одновременно с несколькими причинами.
В оползне выделяют следующие элементы:
оползневое тело;
поверхность скольжения, форма которой может быть цилиндрической, волнистой, плоской;
бровка срыва, там, где произошел отрыв оползневого тела от коренного массива пород;
террасовидные уступы или оползневые террасы (не следует смешивать с речными террасами);
вал выпучивания, разбитый трещинами;
подошва оползня — место выхода на поверхность плоскости скольжения, оно может располагаться выше и ниже подошвы склона или быть на его уровне.
Граница оползневого тела в плане может быть выражена четко и виде резкой бровки. Однако нередки случаи, особенно для пластичных глинистых пород, когда эта граница трудно различима.
В рельефе оползневые тела могут иметь вполне определенные и четко выраженные формы. В однородных породах типа лессовидных суглинков наиболее распространены оползневые цирки. Если в склоне развито несколько оползневых цирков, то между ними располагаются межоползневые гребни. На склонах речных долин оползни нередко образуют террасовидные уступы (оползневые террасы), наклоненные в сторону, обратную падению склона.
Оползневые тела могут иметь сложное строение. На одном и том же участке может быть одна или несколько поверхностей скольжения. В этом случае различают оползни одно-, двух- и многоярусные. В однородных грунтах плоскость скольжения приобретает примерно форму цилиндрической поверхности, в сложно построенных склонах она может совмещаться с плоскостями напластования или, наоборот, пересекать их.
Скорость движения оползневого тела различна. Принципиально все оползни можно разделить на соскальзывающие и постепенно сползающие. При соскальзывании тело оползня перемещается мгновенно, в один прием. Большинство оползней смещается постепенно, хотя и с различной скоростью — от долей миллиметра в сутки до нескольких десятков метров в час.
Движение медленных оползней устанавливается наблюдением за реперами, установленными в теле оползня и за его пределами, а также по маякам, которые укрепляются по обеим сторонам трещин.
Классификация оползней предусматривает выделение собственно оползней, а также их разновидностей в виде сплывов (или сплывин) и оползней — обвалов.
Собственно оползни происходят только путем скольжения земляных масс по склону. Плоскость скольжения обычно располагается на значительных глубинах (многие метры).
Сплывы — смещение земляных масс на небольшой площади (сотни квадратных метров) вследствие водонасыщения верхних слоев. Глубина залегания плоскости скольжения до 1 м. Свойственны весеннему периоду года.
Оползни-обвалы представляют собой смещение земляных масс одновременно по типу скольжения и обвала. Типичны для крутых склонов.
Борьба с оползнями представляет сложную задачу. Это связано с многообразием причин, порождающих этот процесс.
Противооползневые мероприятия назначают с учетом активности оползня. Различают оползни действующие и недействующие.
Недействующие оползни движений не проявляют. Сползание произошло очень давно. Поверхность оползневого тела и следы смещения сглажены геологической деятельностью атмосферных вод. При подработке такие склоны могут приходить в движение.
Действующие оползни требуют применения противооползневых мероприятий. Выбор того или иного мероприятия или комплекса мероприятий зависит от причины, которая порождает данный оползень.
Противооползневые мероприятия. Борьба с оползнями во многих случаях оказывается чрезвычайно сложной, дорогостоящей и зачастую неэффективной. Для успешного применения противооползневых мероприятий необходимо высококачественное выполнение инженерно-геологических изысканий для оценки фактической степени устойчивости склона.
Ю.П. Правдивей (1998) отмечает, что для успешной реализации противооползневых мероприятий необходима разработка вопросов специальной стратегии и тактики. К первым относят:
установление природы возможных форм нарушения устойчивости склона и разработка рациональных расчетных схем;
количественная оценка (иногда с некоторым приближением) степени устойчивости склона (определение коэффициента устойчивости – запаса);
выявление наиболее эффективных путей повышения степени устойчивости склона до необходимых пределов;
проектирование откосов с наперед заданной степенью устойчивости.
Вторые заключаются, в первую очередь, в выборе в пределах наличной стратегии наиболее эффективных для конкретного случая противооползневых мероприятий и сооружений, не забывая при этом о преимуществах «превентивных» профилактических методов.
Противооползневые мероприятия подразделяют на два вида:
активные, способные воздействовать на основную причину оползня путем полного пресечения или некоторого ослабления ее действия, В частности, снятие перенапряжения грунтовой толщи за счет разгрузки любого вида;
пассивные, направленные на повышение значимости факторов сопротивления, влияющих положительным образом на степень устойчивости, например, пригрузка, закрепление любыми способами.
Мероприятия по обеспечению охранной обстановки касаются в основном ограничений в деятельности человека в районе склона:
по зеленому поясу (запрещение рубки леса, корчевания и разработки участков под огороды, уничтожение кустарника, травяного покрова);
по строительству (установление границы предельной застройки, типа и веса сооружений, снос существующих сооружений, замедление темпов строительства);
по земляным работам (запрещение любых разработок грунта в пассивной зоне – у подножья, загрузки склона в активной зоне – у бровки, увеличения крутизны откоса, вскрытие неустойчивых грунтов);
в области водного хозяйства (запрещение спуска поверхностных вод и поливов, содержание в порядке водоотводящих и осушительных устройств, водопроводно-канализационных систем, заделка ям, трещин, установление уровней и темпов сработки вод, омывающих откос);
по динамическим воздействиям (запрещение применения взрывных работ, забивки свай, работы транспортных средств).
Берегозащитные мероприятия и сооружения на водотоках и водоемах подножья склона включают отвод и выправление русел, устройство защитных покрытий, возведение лотков, быстротоков, перепадов, стен – набережных.
Водоотводные осушительные и дренажные мероприятия и устройства делят на:
•работы на поверхности – (планировка местности, заделка трещин, устройство покрытий, дамб, обвалования, нагорных и осушительных каналов, лотков, каптаж источников);
обустройство дренажей (продольные и поперечные прорези и галереи, дренажные шахты, поглощающие скважины и колодцы);
выполнение изоляционных мероприятий (устройство различных инъекционных завес, глинизация, замораживание грунтов).
Землеустроительные мероприятия направлены на:
разгрузочные работы в активной зоне (полный съем оползневых масс, срезка активной части оползня, очистка скальных откосов, террасирование и уполаживание склона, общая планировка склона) и пригрузки в пассивной зоне (отсыпка и отвал грунта);
покрытие скальных склонов металлическими и геосинтетическими сетками;
армирование поверхности геосинтетическими материалами (сетками, ячеистыми каркасами и т. п.);
устройство каменных ловушек.
Механическое крепление склона (откоса) связано с устройством одиночных прошпиливающих элементов в виде свай различного типа, проходящих сквозь оползень в коренные породы или рядов в виде шпунтовых стенок, инъекционных и мерзлотных завес и др.
Подпорные сооружения предусматривается возводить в виде шпунтовых стенок (металлических, железобетонных, деревянных), подпорных стен (каменных, бетонных, железобетонных), стен из свай-оболочек большого диаметра, а также в виде упорных валов (поясов) из грунта, каменной наброски, массивов-гигантов.
Покрытия предназначены для закрепления поверхности склона от воздействия ливневых и речных вод. Их выполняют из песчаных, гравелистых, галечных грунтов, каменной наброски, каменного мощения, шлакоглинобетона, асфальта и асфальтобетона, бетона и железе бетона, геосинтетических пленок из армированного высокопрочного полиэтилена. Для закрепления береговой зоны часто используют фашинные тюфяки.
Использование растительности направлено на закрепление и осушение склона. Здесь предусматривается сплошное травосеяние, посадка влаголюбивого кустарника, облесение склона (вяз, дуб, клен, липа, лиственница).
Искусственное уплотнение и закрепление грунтов на склоне предусматривает проведение различных инъекций (цементация, спликатизация, битумизация, глинизация), замораживание грунтов, уплотненно электроосмосом.
Обеспечение устойчивости возводимых сооружений в зоне действий оползня преследует цель повышения безопасности и включает мероприятия;
по удалению неустойчивого массива на всю его мощность (до коренных неоползнеопасных пород);
закладку глубоких фундаментов, опирающихся, на устойчивые породы;
устройство фундаментов из буронабивных свай;
использование каркасных конструкций;
армирование крутых откосов геосинтетическими сетками и каркасами;
• применение железобетонных поясов;
- • устройство деформационных швов.
Задание 8
Охарактеризовать методы инженерно–геологических и гидрогеологических исследований.
Определение направления, скорости и глубины залегания подземных вод
По условиям залегания различают воды в поверхностных слоях воды глубокие, или межпластовые, т. е. заключенные в водопроницаемом слое между водоупорными слоями. Подземные воды, кроме того, разделяются на пластовые, т. е. насыщающие определенный водопроницаемый слой, и трещинные воды, т. е. движущиеся по трещинам, пересекающим ряд пластов, или в пустотах, пещерах, подземных ходах (карстовые воды).
В рыхлых проницаемых породах подземные воды скопляются на некоторой глубине и образуют здесь насыщенный водой слой, верхняя поверхность которого называется зеркалом, или скатертью грунтовых вод. Так как толща рыхлых пород по большей части бывает ограничена, то залегание грунтовых вод определяется положением первого от поверхности непроницаемого слоя, над которым и скопляются грунтовые воды. Вообще говоря, обычно наклон поверхности грунтовых вод (зеркала) совпадает с наклоном водонепроницаемого слоя. Однако могут быть случаи, когда усиленный приток воды сверху создает наклон поверхности грунтовых вод независимо от наклона водонепроницаемого слоя.
Рельеф поверхности страны также оказывает некоторое влияние на залегание грунтовых вод; в случае волнистости поверхности поверхность грунтовых вод также не горизонтальна, а следует за изгибами рельефа, лишь несколько их сглаживая. Особенно хорошо это выражено в дюпах. Такое залегание грунтовых вод обусловливается тем, что понижения рельефа дренируют грунтовые воды, тогда как в повышенных участках вода поднимается в силу волосности, действующей в направлении, обратном силе тяжести.
Положение горизонта грунтовых вод находится также в соответствии с уровнем поверхностных вод - рек, озер и морей.
Рассматривая соотношение между реками, протекающими в проницаемых рыхлых породах, и грунтовыми водами, можно убедиться в существовании тесной связи между уровнем реки и уровнем грунтовых вод. При нормальных условиях, т. е. при среднем стоянии воды в реке, поверхность грунтовых вод, начиная от реки, постепенно повышается к краям долины в поперечном к реке направлении, и грунтовые воды имеют сток от краев долины к реке.
Но это соотношение изменяется, как только вода в реке начнет прибывать. В случае быстрого подъема воды в реке грунтовые воды же не будут в состоянии вливаться в реку, уровень которой стоит теперь выше прилегающей грунтовой воды, и процесс, описанный выше, сменится обратным, т. е. речная вода или сама начнет переходить в грунтовую или будет задерживать ее сток. В результате начнется поднятие грунтовой воды сначала вдоль реки, а затем в поперечном направлении от реки пойдет волна грунтовой воды, которая в ближайших к реке областях обнаружится через несколько часов, а в более отдаленных - лишь через несколько дней или даже недель. Надвигание этой волны может продолжаться еще и тогда, когда сама река уже начала спадать. В общем грунтовые воды можно рассматривать как мощный регулятор рек, задерживающий большие количества влаги во влажное время года и отдающий ее постепенно в сухое время. На берегу моря грунтовые воды испытывают подпор во время приливов, и их горизонт в это время повышается. Впрочем, это влияние распространяется на небольшое расстояние от берега. До сих пор мы рассматривали подземные воды, залегающие на первом от поверхности непроницаемом слое, но водоносный горизонт может быть также заключен между двумя слоями водонепроницаемых пород и в этом случае совершенно бывает насыщен водой.
Заключающаяся в нем вода находится под напором и называется напорной, или артезианской.
Высота стояния и колебания грунтовых вод, как обычно принималось после исследований Сойки, определяется, главным образом, количеством осадков и дефицитом влажности воздуха, т. е. количеством водяных паров, которое может быть еще поглощено воздухом при данной его влажности и данной температуре.
В зависимости от того, какой из этих факторов, т. е. количество осадков или дефицит влажности, перевешивает, колебания уровня грунтовых вод следуют то первому, то второму фактору.
1. При большом количестве осадков и малом дефиците влажности годичные колебания уровня грунтовых вод определяются годичным ходом атмосферных осадков, как это, например, наблюдается в Мюнхене, климат которого характеризуется сравнительно большим количеством осадков (800 мм), умеренной годовой температурой (7°,3 ) и относительно малым дефицитом влажности.
2. При малом количестве осадков и высоком дефиците влажности годичные колебания уровня грунтовых вод следуют колебаниям дефицита влажности. Примером для этого типа может служить Берлин со средним годовым количеством осадков в 594 мм, с средней годовой температурой в 9° и с недостатком насыщения в 3 мм.
Кроме влияния этих двух факторов, уже давно было также констатировано влияние на уровень грунтовых вод атмосферного давления. Новейшие изыскания показали, однако, что дело обстоит сложнее.
В 1892 г. появилась работа Кинга, который с помощью специально сконструированных им для изучения подземной гидрологии самопишущих приборов показал, что поверхность подземного океана находится в таком же непрерывном движении, как и поверхность открытого моря, и колебания ее совпадают не только с колебаниями осадков и барометра, но также с фазами вегетации и действием механических агентов (сотрясений).
В питании грунтовых вод имеют большое значение геологические условия, рельеф местности и растительный покров.
В зависимости от степени проницаемости пород и условий рельефа возможны различные случаи:
1. В водоупорных породах вода стекает по поверхности в понижения рельефа и образует временные или постоянные озера в холодном климате с избыточным увлажнением, а в умеренном или сухом климате воды будут в меньшей или большей мере теряться через испарение. Грунтовые воды в этих условиях пе будут получать пополнения от атмосферных осадков.
2. В породах средней проницаемости атмосферные осадки, выпадая па повышенные части рельефа и на склоны, частично стекают в понижения и частично впитываются вглубь. Питание грунтовых вод происходит, главным образом, за счет пониженных участков.
3. В породах легко проницаемых, как, например, в крупнозернистых песках, атмосферные воды поглощаются не только в понижениях, но и (в меньшей степени) также на повышениях рельефа и на склонах.
Питание грунтовых вод повсеместное, хотя и неравномерное.
Влияние рельефа, по наблюдениям Измаильского, выражается также в том, что овраги и балки дренируют местность. «Чем ближе к устью балки, тем глубже лежит верхний уровень грунтовой воды и тем беднее колодец водой. Наоборот, чем дальше вглубь степи, т. е. ближе к верховьям балок, тем грунтовые воды лежат ближе от поверхности почвы и колодцы обильнее водой», т. е. нижние части балок оказывают дренирующее влияние, прорезая водоносный горизонт. В степных блюдцах влажность почвы больше, чем на ровных местах, и, по Измаильскому, воронки являются как бы регуляторами грунтовой воды.
В настоящее время можно считать установленным, что колебания уровня грунтовых вод могут быть более длительные (с большим периодом и амплитудой) и кратковременные (с малым периодом и амплитудой). Первые связаны с атмосферными осадками, разливом рек, подпором воды в водоемах, а также с дефицитом влажности воздуха. Вторые зависят от колебаний барометрического давления, температуры воздуха и некоторых случайных причин, например от кратковременных колебаний соседнего водоема. Не покрытые растительностью пространства также облегчают сток и уменьшают инфильтрацию. Обработанные поля с разрыхленной почвой или покрытые посевами, а также луга способствуют просачиванию воды в глубину.
Влияние лесов на обилие и залегание грунтовых вод довольно сложно. Во-первых, не все количество выпавших над лесом осадков достигает почвы - часть испаряется непосредственно с листьев; так, например, в буковом лесу лишь 61% осадков достигает почвы, в дубовом 68%, в хвойном 31%. Во-вторых, лесная подстилка не дает стекать воде и, на первый взгляд, благоприятна инфильтрации, но, с другой стороны (в случае болотистой, поросшей мхом почвы), она, задерживая влагу, расходует ее испарением. Наконец, и сами деревья потребляют массу влаги на свое развитие и расходуют ее путем испарения. Количество осадков в лесу, достигающих почвы, зависит также от интенсивности и продолжительности дождей. Опыты Вольни, Отоцкого, Анри показали, что грунтовые воды стоят в лесу шире, чем в безлесных окрестностях. Так, по опытам Отоцкого, как в северной полосе Европейской части СССР, так и средней и южной оказалось, что грунтовые воды здесь залегают глубже по сравнению с соседними безлесными участками. Но в этих наблюдениях отсутствуют данные о геологическом строении и мало освещен рельеф местности. Из наблюдений Отоцкого над положением уровня грунтовых вод в различных районах Европейской части СССР оказывается, что на севере (в тундре) слой подземных вод совпадает со слоем поверхностных вод; в северной лесной половине он лежит неглубоко, тогда как в степных губерниях глубина залегания грунтовых вод достигает 30 м.
Направление движения подземных вод легко устанавливается при наличии карт гидроизогипс (либо гидроизопьез) по изучаемым водоносным горизонтам. По таким картам направление движения подземных вод определяется линиями токов, проведенным перпендикулярно, к линиям равного напора гидроизогипсам или гидроизопьезам по уклону потока.
Формы потоков грунтовых вод:
а) плоский; б) радиальный; в) радиальный сходящийся; г) криволинейный
По отсутствии карт, отражающих положение свободной или пьезометрической поверхности подземных вод, для определения направления их движения необходимо иметь не менее трех выработок, чтобы установить отметки уровня подземных вод. Выработки желательно располагать по углам равностороннего треугольника с длиной стороны от 50 до 200 метров (чем меньше уклон потока, тем больше расстояние между скважинами). По известным или установленным отметкам уровня подземных вод путем интерполяции составляется план изолинии свободной или изотермической поверхности определяется направление движения потока по линиям токов.
Определение направления потока грунтовой воды по трем скважинам
Для получения надежных данных о направлениях движения потоков подземных вод следует использовать материалы режимных наблюдений (карты изолиний на различные периоды времени). Определение направления движения по картам гидроизогипс следует считать основным методом при отсутствии карт достоверных данных об отметках уровней в отдельных точках направление давления подземных вод можно устанавливать с помощью геофизических(фотографирование в скважинах конусов распространения красителя от точечного источника, метод заряженного тела, замеры интенсивности конвективного переноса тепла в разных направления от датчика, круговые измерения естественного потенциала и др.), радиоиндикаторных и других методов.
Геофизические методы определения направления движения подземных вод.
Наиболее перспективными являются односкважинные методы, в том числе метод фотографирования конусов выноса от точечного источника красителя, при котором периодически фотографируются распространяющиеся от специальной капсулы конуса красителя на фоне стрелки магнитного указателя. Всего за один спуск можно наполнить до 60 снимков, направление движения подземных вод определяется по направлению конуса заноса красителя для получения надежных результатов достаточно 4-6 снимков.
Точность определении направления подземного потока может быть оценена величиной относительной погрешности от 3 до 20, в значительной мере погрешность зависит от скорости движения подземных вод. Метод может использоваться при скоростях фильтрации не ниже 0,5 м/сут. По времени существования конуса можно ориентировочно определить и скорость фильтрации.
Этот метод значительно менее апробирован, по сравнению с радиоиндикаторным, но он несколько проще в пополнении и не требует согласования с органами санэпидемнадзора.
Односкважинные методы осуществления направления движения подземных вод не рекомендуется использовать в породах с редкой и неравномерной трещиноватостью.
Движение грунтовых вод в рыхлых породах в сравнении с движением поверхностных очень медленно. Оно определяется формулой Дарси:
Q = K>Ф>F∆H/l =К>Ф> Fl,
где Q – расход воды или количество фильтрующийся воды в единицу времени, м3/сут; Кф – коэффициент фильтрации, м/сут; F – площадь поперечного сечения потока воды, м2; ∆H – разность напоров, м; l – длина пути фильтрации, м.
Таким образом, скорость движения подземных вод будет больше в крупнозернистых породах и при высокой температуре, уменьшающей вязкость; повышение температуры на 30° увеличивает скорость почти вдвое. Поэтому, при прочих равных условиях, подземные воды в экваториальной зоне будут двигаться быстрее.
Скорость фильтрации v = Q/F или v = K>ф>l. Скорость движения воды (фильтрации) измеряется в м/сут или см/с. Эти формулы требуют уточнения в связи с тем, что в них входит величина F, отражающая все сечение фильтрующей воды, а вода, как известно, течет лишь через часть сечения, равную площади пор и трещин породы. Поэтому величина v является кажущейся. Действительную скорость воды v>д> определяют с учетом пористости породы
v>д> = Q/Fn,
где n – пористость, выраженная в долях единицы
Сопоставив формулы
v = K>ф> и v>д> = Q/F,
можно установить, что v>д >= v/n. Формула скорости воды в свою очередь правомерна лишь для песков и крупнообломочных пород, где все поры открыты и вода имеет полную свободу движения. В глинистых пародах часть пор закрыта и вода передвигается только через открытые поры, поэтому в формулу вводят не n а n>акт> (активную пористость), т.е. пористости, через которые проходит вода. Также следует помнить, что движение воды в породах происходит обычно с разной скоростью, поэтому при рассмотрении вопроса о движении воды в данной породе можно говорить лишь об ее средней скорости движения
Если вода протекает по широким трещинам и пустотам, она имеет так называемое турбулентное движение (неравномерное, с пульсациями скоростей), наподобие движения воды в трубах и открытых каналах. В таких случаях скорость движения воды выражается формулой Шези. Значение грунтовых вод в жизни людей громадно. С древнейших времен обитаемость какой-либо местности обусловливается наличностью воды, скрытой на незначительной глубине или выходящей на поверхность в виде источников. Все более или менее крупные города возникли в местах, располагавших большим количеством легко доступной воды, например Рим, Париж. Как показали Леваковский и В. Семенов Тянь-Шанский по отношению к Европейской части СССР, от залегания и обилия грунтовых вод зависит, до известной степени, характер расселения. Зависимость между обитаемостью и выходом источников или возможностью искусственного их выхода на земную поверхность особенно наглядна в пустынях, где единственными заселенными местами являются оазисы, т. е. области с неглубоким залеганием грунтовых вод, в которых, есть родники или где вода может быть добыта путем устройства колодцев. По мере развития культуры человечество все в большей степени испытывает потребность в большей мере использования подземных вод. Это проявляется при устройстве водоснабжения для больших городов и промышленных центров, при возведении построек, при разработке горных богатств, прокладке туннелей и прорытии каналов.